MADRID, 12 (EUROPA PRESS)
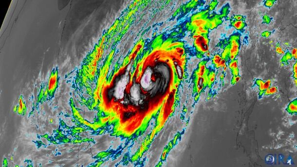
Se trata del ciclón 'Mocha', un sistema tormentoso que ahora mismo está ganando fuerza en la bahía de Bengala y que tocará tierra precisamente en las inmediaciones de Cox's Bazar, acompañado de una tempestad de vientos de entre 180 y 190 kilómetros por hora y de subidas de hasta dos metros y medio del nivel del agua con el consiguiente riesgo para los refugiados del campamento, que además se encuentra en una depresión por debajo de nivel del mar y, por lo tanto, quedará muy desprotegido ante cualquier inundación o corrimiento de tierra.
Es más, el ciclón también va a afectar al estado birmano de Rajine, la tierra natal de los rohingya y hogar todavía de seis millones de personas en una situación humanitaria de por sí alarmante.
La Organización Internacional de las Migraciones de Naciones Unidas (OIM), tras recordar que el campamento consiguió eludir por poco el gran ciclón 'Sitrang' que sacudió la región el año pasado y que dejó al menos 35 muertos y 20.000 desplazados, ya ha anunciado el comienzo de una operación de emergencia para reforzar en la medida de lo posible la protección del campamento y atender a cualquier víctima que el 'Mocha' pudiera provocar.
"Tenemos equipos listos para ayudar al Gobierno y otras organizaciones humanitarias para mantener despejadas las rutas de acceso", ha declarado el jefe de la misión en Bangladesh, Abdusattor Esoev. La OIM cuenta ahora mismo con 2.000 voluntarios especializados en la respuesta a ciclones y otros desastres naturales, y ahora mismo existen unos 45 refugios de emergencia distribuidos por el campamento.
Los voluntarios ya han comenzado a alertar a la población de Cox's Bazar sobre el protocolo de respuesta a emergencias de este tipo "para estar listos cuando las condiciones del tiempo comiencen a empeorar", según ha asegurado uno de los participantes en este programa.

