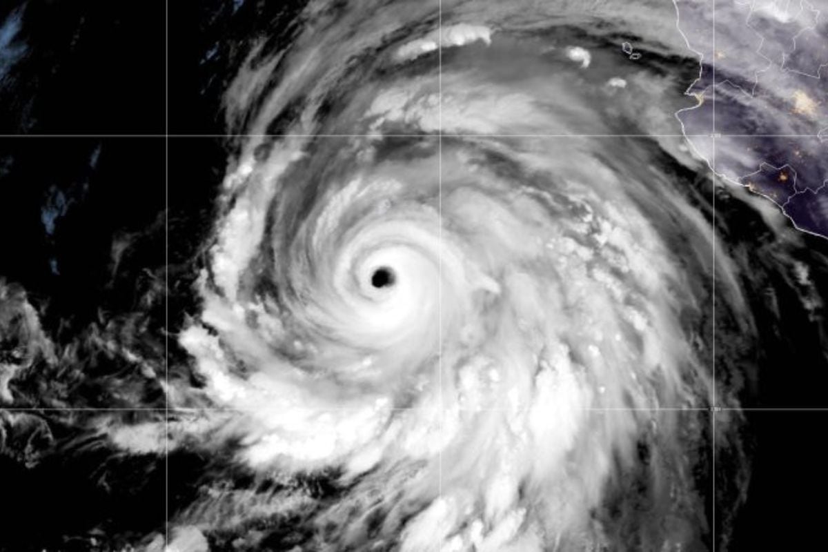
El ciclón tropical Hillary se fortaleció a huracán categoría 4 dirigiendo su trayectoria rumbo a las costas del océano Pacífico, en dirección hacia los estados de Baja California Sur y Baja California.
Te puede interesar: Huracán ‘Hilary’ ya es categoría 4; habrá lluvias excesivas y posibles inundaciones en México y Estados Unidos
Por lo anterior la Comisión Federal de Electricidad (CFE) indicó que está lista para atender posibles daños al suministro eléctrico en esos estados de la República mexicana.
La Comisión aplicará los protocolos necesarios para optimizar los recursos humanos y materiales para atender las contingencias en las mejores condiciones de seguridad para el personal y la ciudadanía.
También se han dispuesto 829 trabajadores electricistas, 201 grúas, 163 vehículos, 64 plantas de emergencia, 12 torres de iluminación y un helicóptero, ubicados en puntos estratégicos para atender emergencias.
Asimismo, la CFE, a través del Sistema Nacional de Protección Civil, está en coordinación con la Secretaría de la Defensa Nacional, la Secretaría de Marina, Comisión Nacional del Agua, Secretaría de Salud, Protección Civil, gobiernos estatales y municipales, para la atención de la posible contingencia.
Conforme al “Manual de Procedimientos Técnicos para la Atención de Desastres” de la CFE, ya se llevan a cabo las siguientes actividades:
- Monitoreo permanente de la evolución del fenómeno meteorológico.
- Identificación de las áreas de probable impacto.
- Implementación de los Centros de Operación Estratégicos para toma de decisiones oportunas, posicionados en puntos clave del país.
- Identificación de los usuarios cuyo servicio es fundamental para la comunidad (hospitales, albergues, gasolineras, sistemas de bombeo, antenas de comunicación, servicios de transporte, etc.) para darles prioridad en la atención.

