El huracán ‘Beryl’ continúa desplazándose hacia las costas mexicanas, antes de tocar tierra este fin de semana en Quintana Roo, por lo que el Servicio Meteorológico Nacional (SMN) sigue de cerca su trayectoria y el gobierno y población quintanarroense se preparan para su llegada.
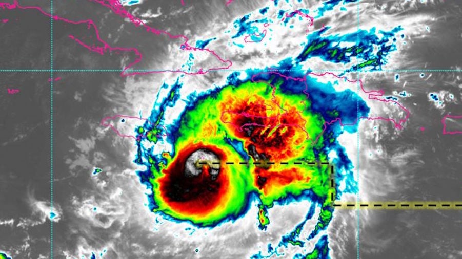
Hasta la mañana de este miércoles, continúa en el Mar Caribe, en la región central, luego de que el martes pasado azotó a las Islas Caimán y a Jamaica, donde dejó severas afectaciones.
En este sentido, continúa acercándose a la Península de Yucatán, en dirección hacia el oeste-noreste. Su ubicación exacta es a 200 km al sureste de Kingston, Jamaica y a 1 mil 300 km al este-sureste de Cancún, Quintana Roo.
Por el nivel de alerta que ha causado ‘Beryl’, el cual se prevé que toque tierra dos veces este fin de semana, primero en Quintana Roo, y después en los estados del golfo de México, entre Tamaulipas y Veracruz, el gobierno mexicano ha establecido una zona de vigilancia por los efectos del huracán de Cabo Catoche a Chetumal, Quintana Roo.
Actualmente, los vientos máximos sostenidos del huracán son de 230 km/h y las rachas de 280 km/h, pero se espera que pierda fuerza hasta llegar a la categoría dos o uno cuando impacto por primera vez en México.
¿Cuándo comenzarán los efectos del huracán ‘Beryl’?
Será el jueves cuando se desaten las lluvias intensas por las bandas nubosas de ‘Beryl’ en el sureste del país, además de un oleaje elevado en la Península de Yucatán. Por ello, se han tomado medidas ante el impacto del huracán.
La primera de ellas, por parte del gobierno de Quintana Roo, de Mara Lezama, es la suspensión de clases tanto jueves y viernes para evitar exponer a los peligros del ciclón a los estudiantes del estado.
Además, la Coordinación Nacional de Protección Civil (CNPC) activó la alerta verde, con un peligro bajo, por la aproximación del huracán, para Quintana Roo, Yucatán y Campeche.
