Beryl, actualmente catalogado como tormenta tropical, ha llegado a territorio nacional, tocando tierra la madrugada del viernes 5 de julio en Yucatán. La trayectoria de este fenómeno meteorológico se puede seguir en vivo a través de Publimetro México, donde se proporcionan todos los detalles relevantes.
Trayectoria del huracán Beryl minuto a minuto
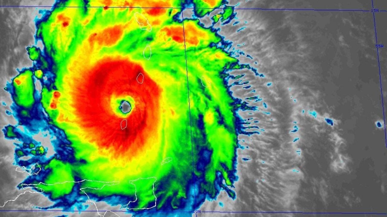
De acuerdo con el Servicio Meteorológico Nacional (SMN) de la Comisión Nacional del Agua (Conagua), el huracán Beryl arribó a Tulum en la categoría 2 con vientos máximos sostenidos de 175 kilómetros por hora (km/h) y rachas que alcanzan los 220 km/h. En las próximas horas, se espera que se desplace hacia el oeste-noroeste a una velocidad de 24 km/h sobre la península de Yucatán.
Ante la llegada de Beryl a territorio nacional, el SMN, en coordinación con el Centro Nacional de Huracanes (CNH) de Estados Unidos, ha establecido una zona de prevención por efectos de este fenómeno desde Puerto Costa Maya hasta Cancún, Quintana Roo, incluyendo Cozumel.
Además, hay una zona de vigilancia por efectos de huracán desde Chetumal hasta Puerto Costa Maya y desde Cancún hasta Cabo Catoche, Quintana Roo, así como una zona de prevención por efectos de tormenta tropical desde Cancún, Quintana Roo, hasta Campeche, Campeche.
Las bandas nubosas de Beryl provocarán lluvias torrenciales de 150 a 250 milímetros (mm) en Campeche, Quintana Roo y Yucatán; lluvias intensas de 75 a 150 mm en Chiapas y Tabasco; rachas de viento de 175 a 215 km/h; oleaje de 6 a 8 metros (m) de altura; marea de tormenta de 3 a 5 m y posibles trombas marinas en las costas de Quintana Roo y Yucatán. En las costas de Campeche se prevén rachas de viento de 120 a 140 km/h y olas de 4 a 6 m de altura.
Huracán Beryl se degrada a categoría 1 rumbo a Yucatán
A las 09:00 horas del viernes 5 de julio, el Conagua Clima informó que el huracán Beryl se degradó a categoría 1 en la escala Saffir-Simpson; el fenómeno se encuentra en tierra, a 95 km al noroeste de Dzilam, Quintana Roo, y a 160 km al este-sureste de Progreso, Yucatán.
La degradación del huracán reduce ligeramente la amenaza, pero las autoridades mantienen la alerta y continúan monitoreando su trayectoria y efectos en la región. Los residentes deben seguir las indicaciones oficiales y estar preparados para cualquier cambio en las condiciones meteorológicas.
Beryl ya es tormenta tropical
La tarde del viernes 5 de julio, Conagua Clima informó que a las 15:15 horas, el huracán Beryl se degradó a tormenta tropical.
El centro de Beryl se localiza actualmente en tierra sobre Yucatán, por lo que esta degradación implica una disminución en la intensidad de los vientos y la presión atmosférica, aunque se espera que las lluvias y vientos fuertes continúen afectando la región.
Las autoridades mantienen recomendaciones para la población, instando a mantenerse informada y tomar precauciones ante posibles inundaciones y otros efectos asociados a la tormenta.
Zonas en alerta tras la llegada del huracán Beryl a México
El impacto de Beryl ya se está sintiendo en varias regiones. En Quintana Roo, las autoridades han implementado medidas de emergencia y han evacuado áreas vulnerables para garantizar la seguridad de la población. Los refugios temporales han sido activados y se están proporcionando suministros esenciales a los afectados. Además, las fuerzas armadas y equipos de rescate están en alerta máxima para responder a cualquier eventualidad.
En Quintana Roo, se pronostican lluvias fuertes a puntuales muy fuertes acompañadas de descargas eléctricas y posible caída de granizo en los municipios de José María Morelos, Lázaro Cárdenas, Solidaridad, Tulum, Felipe Carrillo Puerto, Bacalar y Othón P. Blanco con la llegada de Beryl. Por esta razón, la Coordinación Estatal de Protección Civil ha activado la Alerta Roja en la entidad.
El Sistema de Alerta Temprana para Ciclones Tropicales de Yucatán también ha activado la Alerta Roja en el estado ante la inminente llegada del huracán Beryl.
Condiciones potencialmente mortales en México por el huracán Beryl
Por su parte, e CNH ha informado que tras la llegada de Beryl a la República Mexicana, se esperan peligrosos vientos huracanados, marejadas ciclónicas y olas dañinas. Se ha solicitado a la población que habita en las áreas afectadas refugiarse, ya que estas condiciones potencialmente mortales podrían ocurrir hoy.
El SMN y la Conagua continúan monitoreando de cerca la evolución de Beryl y proporcionan actualizaciones regulares a través de sus plataformas oficiales. La coordinación entre las autoridades locales, estatales y federales es crucial para enfrentar este desafío meteorológico y proteger la vida y los bienes de los ciudadanos.
Debido a la llegada de Beryl, las precipitaciones mencionadas podrían generar encharcamientos e inundaciones en zonas de los estados mencionados.
Las autoridades federales piden a la población, a los turistas y a la navegación marítima atender los avisos del SMN, de la Conagua, así como seguir las recomendaciones de Protección Civil (PC) y extremar precauciones ante las lluvias, viento y oleaje elevado, por lo que puedes seguir en vivo la trayectoria del huracán Beryl en Publimetro México, donde se estará actualizando la información minuto a minuto.
Beryl ya es tormenta tropical y se desplaza sobre el Golfo de México
Aproximadamente a las 5:30 de la tarde de este viernes, la tormenta tropical Beryl abandonó el territorio de Yucatán, saliendo por Puerto Progreso rumbo al Golfo de México.
Con su partida, el gobernador de Yucatán, Mauricio Vila Dosal, anunció la reanudación de las actividades laborales y económicas no esenciales, la normalización del transporte público y el levantamiento de la Ley Seca.
Aunque causó diversos incidentes menores, Beryl no dejó pérdidas humanas en su paso por la península. Entre los efectos registrados, se encontraron la caída de árboles y postes, así como interrupciones en el suministro eléctrico en varias zonas del estado.
La tormenta tropical Beryl podría intensificarse a huracán categoría 1
El sábado 6 de julio, el SMN de la Conagua, informó que el centro de la tormenta tropical Beryl mantiene su desplazamiento hacia el oeste-noroeste, sobre el centro del Golfo de México.
Sus bandas nubosas ocasionarán lluvias muy fuertes, vientos fuertes y oleaje elevado en estados del litoral del Golfo de México, y durante este fin de semana, la tormenta tropical Beryl se intensificará a huracán de categoría 1 sobre el norte del Golfo de México.
Continuará acercándose a la costa norte de Tamaulipas, previéndose que, durante la madrugada del lunes, Beryl impacte entre la costa norte de Tamaulipas y el sur de Texas, Estados Unidos.

