El huracán Milton, de categoría 4 en la escala Saffir-Simpson, continúa su desplazamiento por las costas mexicanas, alejándose del territorio nacional, pero sus efectos aún impactan varias zonas del Golfo de México y la Península de Yucatán.
Milton tocará tierra como huracán categoría 5 en Florida, EE.UU.
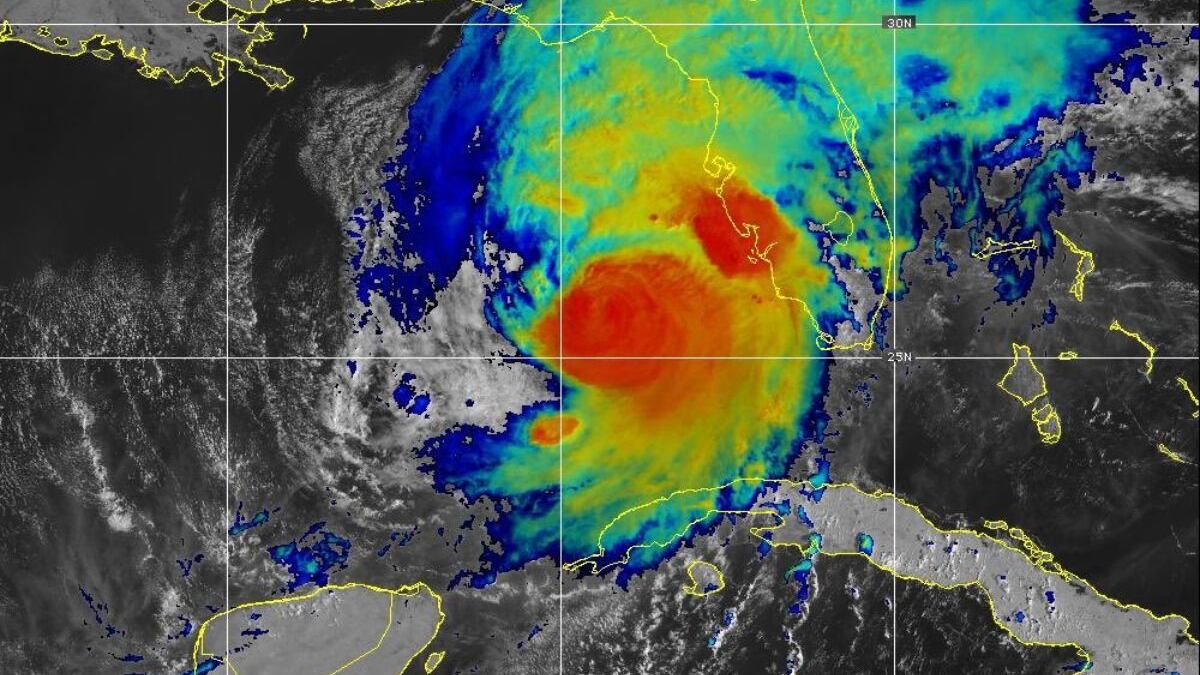
Según el Servicio Meteorológico Nacional (SMN) de la Comisión Nacional del Agua (Conagua), el fenómeno avanza hacia las costas de Florida, Estados Unidos (EE.UU.), donde se espera que toque tierra en las próximas horas como posible huracán categoría 5.
El Centro Nacional de Huracanes de Estados Unidos (NHC por sus siglas en inglés), por su parte, ha advertido que Milton podría tocar tierra esta noche en Florida como un huracán peligroso, con potencial de generar daños significativos en la región.
Seguirá afectando la Península de Yucatán y el Golfo de México
A pesar de que su centro se aleja, la amplia circulación de Milton provoca fuertes vientos y oleaje en las costas mexicanas. En Yucatán y Quintana Roo, se registran vientos de 60 a 80 km/h y oleaje de 2 a 4 metros de altura, mientras que en las costas de Campeche, los vientos alcanzan entre 40 y 60 km/h con oleaje de 1 a 2 metros.
Además, el istmo y golfo de Tehuantepec (Oaxaca y Chiapas) experimentan rachas de viento de componente norte con velocidades similares, y en Veracruz (sur) y Tabasco, se presentan condiciones semejantes, con oleaje de hasta 2 metros.
Se espera que estas condiciones disminuyan gradualmente en el transcurso del día. Sin embargo, el sistema ciclónico continúa arrastrando aire húmedo desde el Golfo de México hacia la Península de Yucatán, lo que ocasionará lluvias con chubascos en los estados de Yucatán y Quintana Roo.
Por otro lado, el Pacífico también enfrenta condiciones meteorológicas adversas. Una zona de baja presión con potencial de desarrollo ciclónico se localiza frente a las costas de Nayarit y Jalisco. Este sistema, en interacción con un canal de baja presión en el occidente del país, genera lluvias intensas en Nayarit, Jalisco, Colima y Michoacán, mientras que Baja California Sur, Sonora y Sinaloa reportan chubascos y vientos de hasta 60 km/h.
En el sur del país, canales de baja presión y el ingreso de aire húmedo desde el Golfo de México provocan lluvias intensas en Guerrero y Oaxaca, mientras que Chiapas, el centro y sureste del país también registran precipitaciones.

