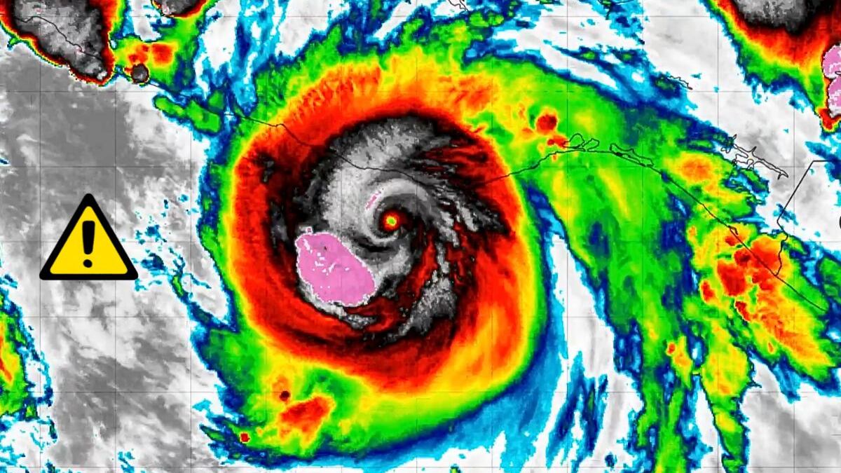
Después de que el Centro Nacional de Huracanes (NHC), parte de la Administración Nacional Oceánica y Atmosférica (NOAA) de Estados Unidos (EE. UU.), confirmara que Erick se intensificó a huracán categoría 4 en la escala Saffir-Simpson, considerándolo como extremadamente peligroso y con alto potencial de causar daños devastadores por viento cerca de su núcleo, este se degradó a categoría 1.
Según en NHC, Erick generará lluvias intensas en zonas del suroeste de México durante la semana, tras tocar tierra en las costas de Guerrero y Oaxaca durante las primeras horas del jueves 19 de junio.
Erick provocará inundaciones destructivas en México
Además, se anticipa una marejada ciclónica peligrosa y potencialmente mortal, que provocará inundaciones costeras cerca y al este del punto de impacto, en áreas con vientos terrestres. Esta marejada estará acompañada por olas grandes y destructivas.
Ante ello, la NOAA recomienda a la población mexicana buscar refugio en el interior de una estructura sólida y permanecer allí hasta que cesen las condiciones peligrosas provocadas por el huracán Erick.
Erick pasó de huracán categoría 4 a 1 sobre las costas mexicanas
Por su parte, el Servicio Meteorológico Nacional (SMN) de la Comisión Nacional del Agua (Conagua) informó que, a las 05:30 horas (tiempo del centro de México), el centro del huracán Erick impactó en Santiago Pinotepa Nacional, Oaxaca, con vientos sostenidos de 205 km/h y rachas de hasta 250 km/h, desplazándose hacia el noroeste a 15 km/h.
A las 06:15 horas, el ciclón se localizó en tierra, aproximadamente a 30 km al este de Punta Maldonado, Guerrero.
De acuerdo con el SMN, en punto de las 09:15 horas, tiempo del centro de México, Erick se degrado a huracán de categoría 1 en la escala Saffir-Simpson, su centro se localizó en tierra, aproximadamente a 50 kilómetros al nor-noroeste de Punta Maldonado, Guerrero.
Aunque perdió fuerza, este fenómeno meteorológico continúa su paso con vientos máximos sostenidos de 140 kilómetros por hora (km/h) y rachas de 165 km/h. Mantiene su desplazamiento hacia el noroeste a 19 km/h.
¿Qué dicen las autoridades mexicanas sobre el huracán Erick?
Durante las próximas horas, Erick ocasionará lluvias torrenciales (150 a 250 mm) en Guerrero y Oaxaca; intensas (75 a 150 mm) en Chiapas, sur de Veracruz y sur de Puebla; vientos sostenidos de 180 a 200 km/h con rachas mayores a 220 km/h; y oleaje de 8 a 10 metros en costas de Oaxaca y Guerrero.
En Chiapas, se prevén vientos de 60 a 80 km/h con rachas de 100 a 120 km/h, y oleaje de 4 a 5 metros. Los vientos irán debilitándose gradualmente conforme el sistema se desplace sobre tierra.
El SMN y Conagua, en coordinación con el NHC, mantienen activa la zona de prevención por efectos de huracán desde Acapulco, Guerrero, hasta Puerto Ángel, Oaxaca; zona de vigilancia desde el oeste de Acapulco hasta Técpan de Galeana, Guerrero; y zona de prevención por tormenta tropical desde el este de Puerto Ángel hasta Salina Cruz, Oaxaca, así como desde el oeste de Acapulco hasta Técpan de Galeana.

