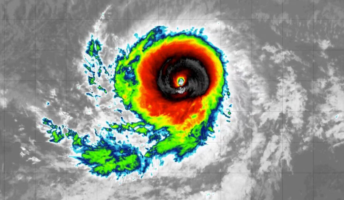
El huracán Kiko se ha convertido en un fenómeno de gran potencia en el océano Pacífico tras alcanzar la categoría 4 en la escala Saffir-Simpson, según el Servicio Meteorológico Nacional (SMN) de la Comisión Nacional del Agua (Conagua).
Su tamaño e intensidad lo colocan entre los ciclones más fuertes de la actual temporada, con una estructura bien definida y un ojo visible en las imágenes satelitales. Actualmente, su centro se ubica a 2,310 kilómetros al suroeste de Punta Eugenia, Baja California Sur, lo que lo mantiene a una distancia considerable de la costa mexicana.
Huracán Kiko, de categoría 4, podría ingresar a México por Baja California Sur
De acuerdo con el SMN de Conagua, Kiko presenta vientos máximos sostenidos de 215 kilómetros por hora (km/h), rachas de hasta 260 km/h y un desplazamiento hacia el oeste a una velocidad de 9 km/h, condiciones que lo convierten en un huracán extremadamente peligroso en mar abierto.
A pesar de su intensidad, las autoridades meteorológicas han dejado claro que Kiko no representa peligro para el territorio mexicano debido tanto a su lejanía como a la trayectoria que mantiene lejos de la costa.
Sin embargo, no deja de ser un sistema de interés para los especialistas, ya que demuestra la fuerza con la que se está desarrollando la temporada de ciclones en el Pacífico este 2025. La vigilancia sobre Kiko continúa activa, no porque se espere un impacto directo, sino por los posibles cambios que puedan ocurrir en su trayectoria en los próximos días.
Huracán Lorena, más cerca de las costas mexicanas
En paralelo, el huracán Lorena, de categoría 1, se localiza a 255 kilómetros al oeste de Cabo San Lucas, en Baja California Sur. Aunque su intensidad es menor comparada con la de Kiko, su cercanía obliga a mantener vigilancia constante, ya que podría generar lluvias intensas, oleaje elevado y rachas de viento en la región.
Fenómenos adicionales complican el clima en México
Además de los dos huracanes, el SMN informó sobre la presencia de varios sistemas meteorológicos que también impactarán al país:
- El monzón mexicano
- Una vaguada en altura
- El sistema frontal número 1
- La onda tropical 30
- Un canal de baja presión en la Mesa Centra
- Así como la inestabilidad atmosférica y el ingreso de humedad del océano Pacífico
Todos estos factores en conjunto favorecerán lluvias fuertes a puntuales intensas en diferentes estados, incluyendo la Ciudad de México (CDMX), acompañadas de descargas eléctricas, caída de granizo y posibles deslaves en zonas montañosas.
